Breadcrumbs
- Lat. Name: Tragopogon pratensis
- de. Name: Wiesen-Bocksbart
- Familie: Asteraceae (Korbblütler)
Foto_Tragopogon_pratensis
- Lat. Name: Trifolium repens L. s.l.
- de. Name: Kriechender Klee | Weiss Klee
- Familie: Fabaceae (Schmetterlingsblütler)
- Lat. Name: Trifolium montanum L.
- de. Name: Berg-Klee
- Familie: Fabaceae (Schmetterlingsblütler)
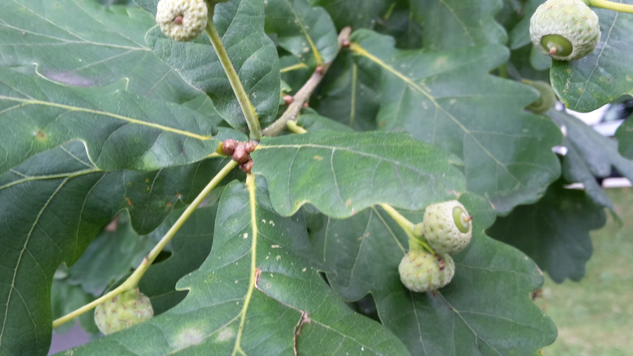
- Lat. Name: Quercus robur L.
- de. Name: Stiel-Eiche
- Familie: Fagaceae (Buchengewächse)
- Flora Helvetica (2012): 331
- Lat. Name: Trifolium pratense L. s.l.
- de. Name: Rot-Klee
- Familie: Fabaceae (Schmetterlingsblütler)
- Lat. Name: Juglans regia L.
- de. Name: Walnussbaum / Baumnuss
- Familie: Juglandaceae (Walnussgewächse)
- Flora Helvetica (2012): 325
Subcategories
Fabaceae (Schmetterlingsblütler)
Blüten zygomorph, Kelch und freie Krone, Staubblätter 10, Fäden verwachsen, Fruchtknoten oberständig, Fruche eine Hülse, Blätter wechselständig
Rosaceae (Rosengewächse)
Kelch und freie Krone, Staubblätter viele, Fruchtblätter viele und frei, Fruchtknoten oberständig, Blätter wechselständig